Notice of Public Meeting - Wawa Zoning By-Law Amendment

Notice of PUBLIC MEETING

WAWA ZONING BY-LAW AMENDMENT 

TO ADD RESIDENTIAL DWELLING AS PERMITTED USE AT

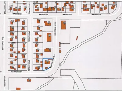
50 MONTREAL AVENUE

TAKE NOTICE THAT the Municipality of Wawa has initiated an amendment to Zoning By-Law No. 2821-15. The proposed zoning amendment would add a residential unit as a permitted use on property zoned General Industrial (M1) described as Lot 1451, Parcel 1298 MICH, Plan-M168, known as 50 Montreal Avenue, Wawa. A statutory Public Meeting to receive public input and comment will be held on: 

Tuesday, March 17, 2026, at 6:30 p.m.

40 Broadway Avenue, Wawa, Council Chambers

(In-Person or ZOOM Attendance Available)

PURPOSE AND EFFECT OF THE ZONING BY-LAW AMENDMENT 

The purpose and effect of the Zoning By-Law Amendment would be to add one Single Residential Dwelling Unit as a permitted use on the subject property zoned General Industrial (M1). The Residential Dwelling Unit would conform to the Residential Third Density (R3) Zone Standards (e.g. side yard, lot area and maximum height) and be located within the existing building located on the property.

ADDITIONAL INFORMATION

Any person may provide written submissions regarding the proposed zoning by-law amendment to the Clerk by 4:00 p.m. on Monday, March 16, 2026, sent to moneill@wawa.cc or by mail to Clerk, Municipality of Wawa, Box 500, Wawa, P0S 1K0. 

Any person wanting to make an oral statement during the public meeting should contact the Clerk at moneill@wawa.cc or 705-856-2244 ext. 223 by 4:00 p.m. Monday, March 16, 2026, to ensure inclusion in the meeting agenda. Participation at the Public Meeting to may be via ZOOM but advanced arrangements must be made with Clerk.

Please note that if you provide a written submission or make an oral statement regarding the proposed amendment, your name and comments will become part of the public record.

IF A PERSON OR PUBLIC BODY wishes to be notified of Council's decision on this proposed zoning amendment, you must send a written request to the Clerk at moneill@wawa.cc or Municipality of Wawa, 40 Broadway, Wawa, ON, P0S 1K0.

IF A PERSON OR PUBLIC BODY would otherwise have an ability to appeal the decision of Council of the Municipality of Wawa to the Ontario Land Tribunal but the person or public body does not make oral submissions at a public meeting or make written submissions to the Municipality of Wawa before the by-law is passed, the person or public body is not entitled to appeal the decision. If a person or public body does not make oral submissions at a public meeting or make written submissions to the Municipality of Wawa before the by-law is passed, the person or public body may not be added as a party to the hearing of an appeal before the Ontario Land Tribunal unless, in the opinion of the Tribunal, there are reasonable grounds to do so.

ADDITIONAL INFORMATION is available by contacting:

Maury O’Neill, CAO-Clerk (moneill@wawa.cc) 705-856-2244 ext. 223 or

Kevin Sabourin, CBO (ksabourin@wawa.cc) 705-856-2244 ext. 228

Municipality of Wawa, 40 Broadway Ave., Wawa, ON

Dated and Posted on: February 24, 2026

Maury O’Neill, Clerk

This Public Meeting will be live-streamed on the Municipality of Wawa You-Tube channel: www.youtube.com/channel/UC8MlwvjOvKwP8dNJEdMOeyw

Comments and personal information are collected in accordance with the requirements of the Planning Act, R.S.O. 1990 c.P.13 as amended, and become part of the decision-making process as noted on this form, also become part of the public record. Should you have any questions or concerns about the collection of personal information, please contact moneill@wawa.cc

Upon request the Municipality of Wawa will provide accessible formats and communication supports for persons with disabilities regarding this matter. Please contact the Clerk at 705-856-2244 ext. 223 for information

Contact Us

Town Hall
40 Broadway Ave,
Wawa Ontario,
P0S 1K0 


Phone: 705-856-2244 
Fax: 705-856-2120
Email: info@wawa.cc

Sign up to our News Page

Stay up to date on Wawa's activities, events, programs and operations by subscribing to our News page.