Notice of Public Meeting: Application for Consent (Sever Land)

NOTICE OF PUBLIC MEETING

Application for Consent (Sever Land)

Clause 53(5) of the Planning Act

Section 3, O.Reg. 197/96

File Number:        B1/26

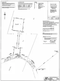
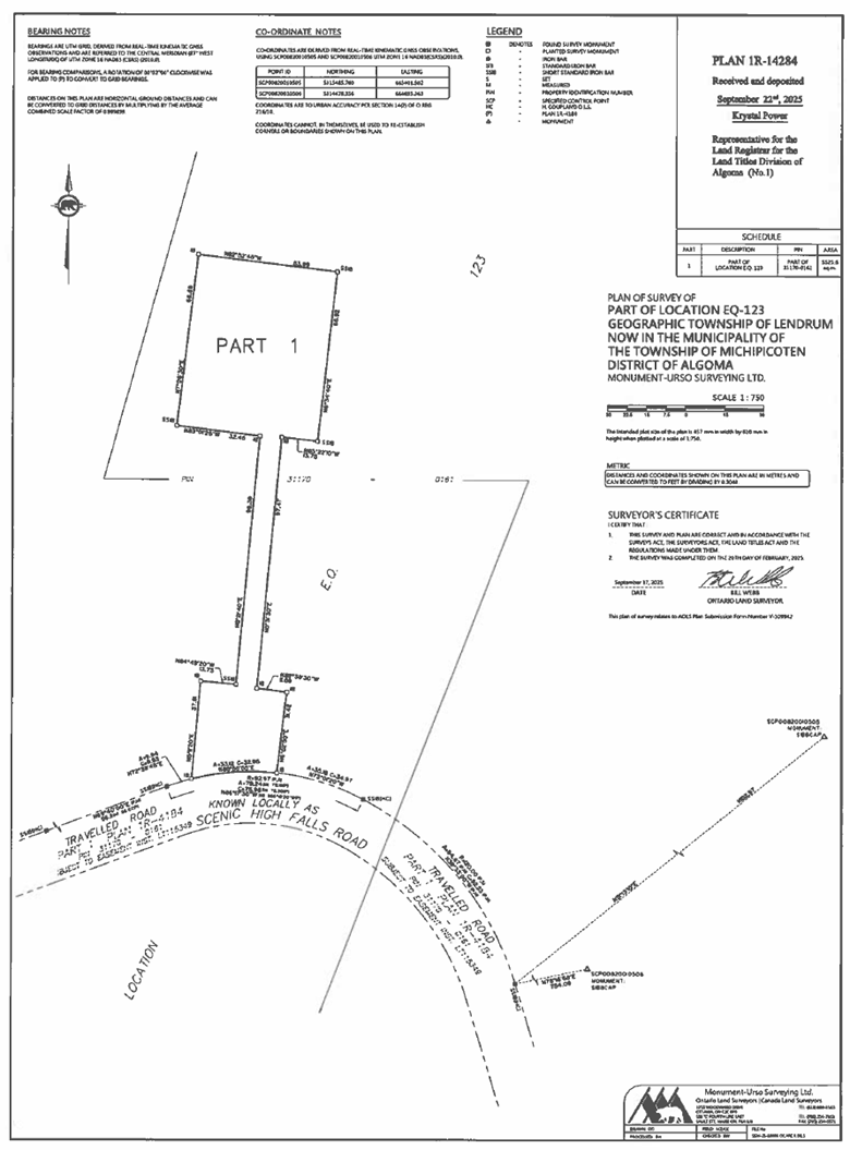
Subject Land:      PART of LOC EQ123PT PCL 276 SEC MICH, PLAN IR-14284 property located along Scenic High Falls Road in Lendrum Geographic Township, now in the Municipality of Wawa

Owner:                 Level Plains Enterprises Inc. c/o Trevor Laing

Applicant:             Ontario Centre for Archeological Research & Education

Take Notice: Council of the Municipality of Wawa, also acting as the Committee of Adjustment, will hold a public meeting on Tuesday, March 17, 2026, at 6:30 p.m. to discuss and hear comments regarding a consent to sever application made under the authority of Section 53 of the Planning Act, R.S.O. 1990 as amended. 

The Public Meeting will be held in Council Chambers, Downstairs, 40 Broadway Avenue, Wawa, ON. Interested persons may participate electronically through ZOOM with prior registration required with the Clerk.

Purpose and Effect: The applicant is requesting a consent to sever a portion of the subject land, identified as Plan IR-14284, to create an area for a long-term lease agreement exceeding 21 years (for a tourism project). The property is outlined on the attached maps. The Owner will lease the lands to the Applicant.

Submissions: Written comments on this application must be provided by Friday, March 13, 2026, at 4:00 p.m. by mail or email to the Clerk at moneill@wawa.cc, Municipality of Wawa, 40 Broadway Avenue, Wawa, P0S 1K0.

Members of the public are encouraged to submit written comments. Comments shall be made available to any interested person for inspection at the hearing and are considered public record. 

Public Meeting: Any person may attend the Public Meeting in person or through ZOOM. To register for ZOOM, each person must e-mail moneill@wawa.cc or call (705) 856-2244 ex 223 to register for the meeting by 4:00 pm. Friday, March 13, 2026.

Notice of Decision: If you wish to be notified of the decision of Wawa Municipal Council/Committee of Adjustment in respect of the proposed consent, you must make a written request to Clerk, Municipality of Wawa, Box 500, Wawa, P0S 1K0.

Appeal: If a “specified person” or “public body” (as defined in the Planning Act) that files an appeal of a decision of Council in respect to the proposed consent does not make written submissions to Council before it gives or refuses a provisional consent, the Ontario Land Tribunal (OLT) may dismiss the appeal.

Additional Information: For additional information regarding this application, email moneill@wawa.cc or call 705-856-2244 ex 223.

Notice of Collection: Personal information collected as a result of this public hearing is collected under the authority of the Municipal Act, the Municipal Freedom of Information and Protection of Privacy Act (MFIPPA), the Planning Act, and all other relevant legislation and will be used to assist in making a decision on this matter. All personal information including, but not limited to, names, addresses, opinions and comments collected will be available for public disclosure.

Dated the 25th day of February 2026
Maury O’Neill, CAO-Clerk, Municipality of Wawa

Contact Us

Town Hall
40 Broadway Ave,
Wawa Ontario,
P0S 1K0 


Phone: 705-856-2244 
Fax: 705-856-2120
Email: info@wawa.cc

Sign up to our News Page

Stay up to date on Wawa's activities, events, programs and operations by subscribing to our News page.